再生可能エネルギーを活用した市役所通りイチョウ並木のライトアップの点灯を開始します!
この度、全国都市緑化かわさきフェアの開催に向けて進めてきた、富士見公園会場へのアクセス道路となる市役所通りの銀柳街及び銀座街との交差点から国道15号までの区間における照明設備設置工事が完了したことから、再生可能エネルギー(川崎未来エナジー株式会社から供給)を活用したライトアップの点灯を開始します。
なお、川崎未来エナジー㈱が供給する電気は、市民の皆様が排出したごみをエネルギーとする川崎産のグリーン電力です。
1 点灯開始日
令和6年10月16日(水) ※開始日以降、夕方暗くなると自動で点灯します。
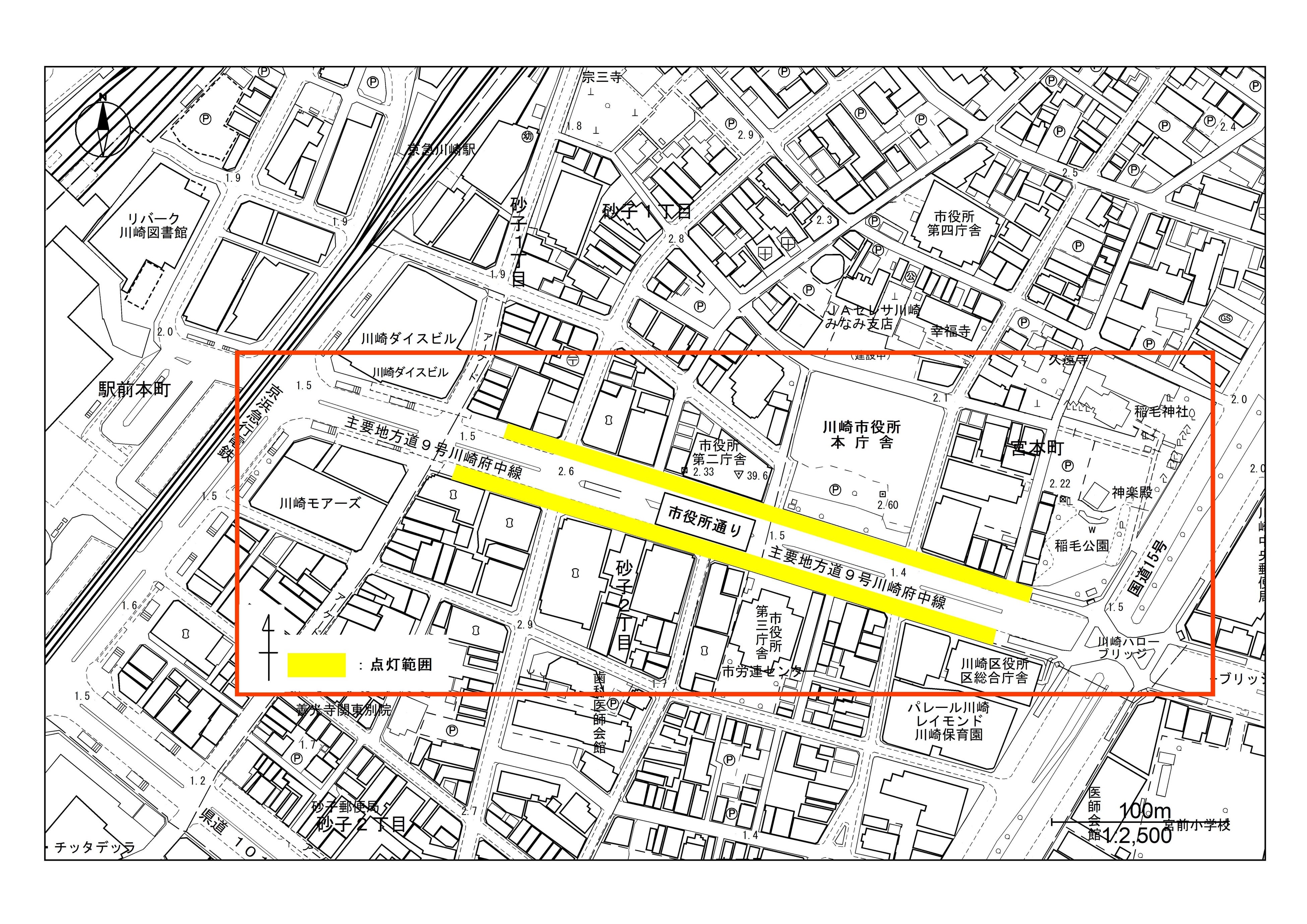
2 点灯範囲
出典:川崎市都市計画基本図(平成31年度)を加工して作成
ライトアップ点灯状況(本庁舎前)
3 広報周知
本庁舎のデジタルサイネージ等で再生可能エネルギーを活用したライトアップを広報し、脱炭素社会の実現に向けて、市民の環境配慮への機運醸成を図ります。
掲載イメージ
本庁舎デジタルサイネージ
再生可能エネルギーについて 川崎未来エナジー㈱ホームページ
https://kawasaki-mirai-energy.co.jp/business.html

2024年、川崎市は市制100周年 次の100年に向けて「あたらしい川崎」を生み出していくためのスタートラインとして、 オール川崎市で、多彩な記念事業「Colors,Future!Actions」を展開しています。 ▶川崎市市制100周年記念事業公式ウェブサイト https://kawasakicity100.jp/ 「全国都市緑化かわさきフェア」 次の100年に向けて、みどりについて皆さんと一緒に考え行動することで、 誰もが暮らしやすく住み続けたいまちへとつなげていくため、開催します。 ▶全国都市緑化かわさきフェア公式サイト https://green-for-all-kawasaki2024.jp |


◆詳細プレスリリースはこちらからダウンロード可能です。
https://prtimes.jp/a/?f=d124454-109-6964a0db7be78d72123016b62001d9e0.pdf
◆川崎市オンラインプレスルーム
https://www.pr-today.net/a00547
このプレスリリースには、メディア関係者向けの情報があります
メディアユーザー登録を行うと、企業担当者の連絡先や、イベント・記者会見の情報など様々な特記情報を閲覧できます。※内容はプレスリリースにより異なります。
すべての画像
- 種類
- イベント
- ビジネスカテゴリ
- 政治・官公庁・地方自治体
- ダウンロード
